>Clip: Cảnh hãi hùng khi bão tấn công Philippines
>Clip: Philippines tan hoang, đổ nát sau bão Haiyan
>Đêm nay, siêu bão tiến vào Thanh Hóa-Hải Phòng
![]() |
| Vào 13h chiều nay, cơ quan khí tượng Nhật Bản dự báo hướng đi của bão Haiyan sẽ đổ bộ vào khu vực Đông Bắc Bộ. |
![]() |
| Trong bản tin lúc 9h30 sáng nay 10/11, Trung tâm dự báo khí tượng thủy văn trung ương dự báo bão Haiyan đi dọc các tỉnh miền Trung và đổ bộ vào tỉnh Thanh Hóa và các tỉnh ven biển Bắc Bộ. |
![]() |
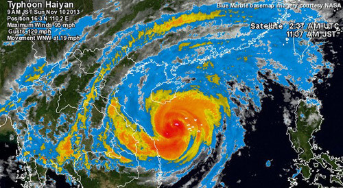
![]() |
| 9h sáng nay 11/10, trang web Weather Underground dự báo bão Haiyan đổ vào đất liền trên địa bàn tỉnh Hải Phòng, Quảng Ninh. Hình ảnh trên vệ tinh và bản đồ. |
![]() |
![]() |
| Ảnh dự báo lức 7h sáng nay 10/11 từ Weather Underground. Hiện Weather Underground gọi là bão lớn (Typhoon Haiyan) thay vì siêu bão (Super Typhoon Haiyan) như trước. |
![]() |
| Trong khi đó, cơ quan Hải quân Mỹ dự báo bão Haiyan đổ bộ vào đất liền các tỉnh Thanh Hóa, Hà Nội. |
![]() |
| Lúc 7h sáng nay, cơ quan khi tượng Nhật Bản dự báo bão Haiyan hướng lên các tỉnh phía Đông Bắc. |
Theo Trí Thức







