Ngày 11/2, Sở Tài nguyên và Môi trường tỉnh Bà Rịa - Vũng Tàu cho biết, UBND tỉnh vừa phê duyệt giá khởi điểm, quyết định đấu giá, chấp thuận chủ trương đầu tư khu đất thương mại, dịch vụ tại TP. Vũng Tàu để đưa giá đấu giá trong tháng 3.
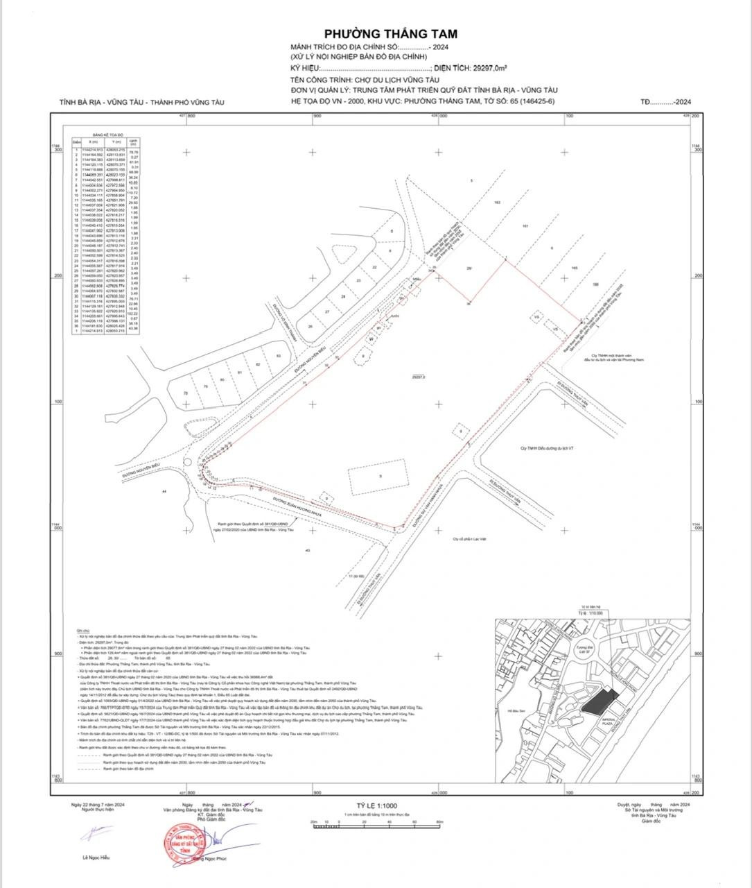
Theo đó, khu đất trên có diện tích 29.297 m2 nằm ở vị trí trung tâm khu vực Bãi Sau, phường Thắng Tam, TP.Vũng Tàu (phía sau khách sạn 5 sao Imperial Vũng Tàu).
![]() |
| Sơ đồ, vị trí khu đất sắp đấu giá ở TP. Vũng Tàu. |
Khu đất được thông báo với giá khởi điểm hơn 1.000 tỷ đồng, trong đó vật kiến trúc trên đất hơn 10 tỷ đồng, còn lại là giá trị đất.
Đất được quy hoạch là thương mại dịch vụ, hình thức cho thuê đất thu tiền một lần cho cả thời gian 50 năm kể từ khi UBND tỉnh Bà Rịa - Vũng Tàu ký quyết định cho thuê đất.
Trước đó, ngày 31/12/2024, UBND tỉnh Bà Rịa - Vũng Tàu đã ban hành quyết định 3590/QĐ-UBND về việc đấu giá khu đất này. Hiện tại, khu đất vẫn còn một số vật kiến trúc trên đất, như nhà ban quản lý chợ, quán cà phê, nhà bán hàng, nhà lồng chợ, sân bê tông, 3 nhà gỗ, nhà tôn hai mái và một số hoa màu cây trái.
Tại quyết định 3587/2024, UBND tỉnh Bà Rịa - Vũng Tàu đã chấp thuận chủ trương đầu tư dự án Khu thương mại dịch vụ du lịch cao cấp tại khu đất 29.297m2 nói trên, hình thức lựa chọn nhà đầu tư là đấu giá quyền sử dụng đất theo quy định pháp luật về đất đai.
Khu đất được quy hoạch gồm 3 khu chức năng chính là đất công trình dịch vụ, với diện tích khoảng hơn 28.887 m2; đất cây xanh với diện tích khoảng 264,7 m2 và đất công trình hạ tầng kỹ thuật với diện tích khoảng 245 m2. Mật độ xây dựng toàn khu khoảng 40%, được giới hạn bởi 33 tầng cao.
Mục tiêu của khu đất là xây dựng khu trung tâm thương mại đẳng cấp, dịch vụ đa dạng, hiện đại, kiến trúc độc đáo; mang đến cho du khách trong và ngoài nước tận hưởng một khu thương mại, mua sắm, nghỉ dưỡng cao cấp. Tổng mức đầu tư thực hiện dự án hơn 6.821 tỷ đồng.
Tiến độ thực hiện dự án là 54 tháng, kể từ ngày bàn giao đất trên thực địa cho người trúng đấu giá. Cụ thể, từ tháng thứ nhất đến tháng thứ 2 sẽ cấp giấy chứng nhận đăng ký đầu tư, hoàn tất các thủ tục đất đai liên quan.
![]() |
| Bên trong khu đất sắp đấu giá. Ảnh: NLĐ. |
Từ tháng thứ 3 đến tháng thứ 11 chủ đầu tư phải lập báo cáo nghiên cứu khả thi đầu tư xây dựng; lập, thẩm định và phê duyệt dự án đầu tư; lập và phê duyệt hồ sơ bản vẽ thiết kế thi công. Đến tháng thứ 12 sẽ cấp phép xây dựng.
Từ tháng thứ 13 đến tháng 54 là thời điểm xây dựng hoàn thiện và đưa công trình vào hoạt động, khai thác vận hành.
Về tiến độ đấu giá khu đất, Sở Tài nguyên và Môi trường tỉnh Bà Rịa - Vũng Tàu cho biết, từ nay đến hết ngày 25/2, chủ đầu tư sẽ bắt đầu đăng ký tham gia đấu giá.
Từ 10/3-12/3, người tham gia đấu giá sẽ nộp tiền đặt trước là gần 213 triệu đồng. Thời gian bắt đầu đấu giá vào lúc 8 giờ 30 phút ngày 14/3, tại số 281 đường 27/4, TP. Bà Rịa, tỉnh Bà Rịa - Vũng Tàu.
Trong năm nay, tỉnh Bà Rịa - Vũng Tàu dự kiến đưa ra đấu giá 14 khu đất và 9 thửa đất đấu giá của năm 2024 chuyển sang, dự kiến thu hơn 10.734 tỷ đồng từ đấu giá đất.

