Google News

Vì sao cơn bão mạnh nhất thế giới 2026 Sinlaku được gọi là "cơn bão cưa máy"?

HHTO - Bão Sinlaku đã trở thành cơn bão mạnh nhất thế giới 2026, tính đến thời điểm này. Không chỉ đang tạo ra nhiều kỷ lục, bão Sinlaku còn được gọi là cơn bão "cưa máy" hay "cưa đĩa" vì hình dáng của nó. Vậy một cơn bão có hình giống lưỡi cưa máy thể hiện điều gì?

Càng ngày, dường như những cơn bão mạnh xuất hiện càng thường xuyên hơn. Không chỉ vậy, chúng xuất hiện cả vào những thời điểm vốn ít khi có bão, chứ đừng nói là siêu bão.

Thật vậy, bây giờ còn chưa đến giữa tháng 4 mà ở Tây Bắc Thái Bình Dương đã có một siêu bão: Sinlaku (cơn bão này dự báo không vào Biển Đông).

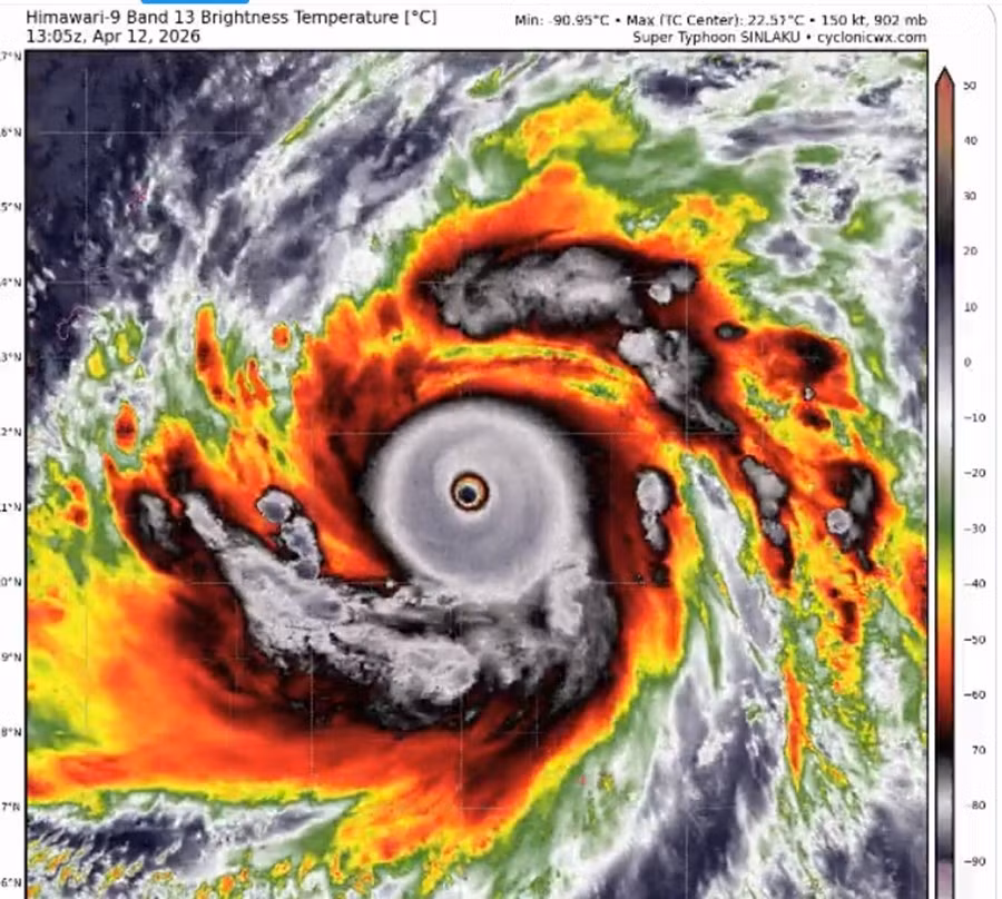
Tối 12/4, Trung tâm Cảnh báo Bão Liên hợp (JTWC) của Mỹ đã nâng Sinlaku lên cấp siêu bão, với sức gió 280 km/h (vượt xa cấp 17). Theo Trung tâm Dự báo Khí tượng Thủy văn Quốc gia nước ta, Sinlaku chính thức là cơn bão mạnh nhất thế giới năm 2026, tính đến thời điểm này, "soán ngôi" bão Maila.

bao-sinlaku-tren-cap-17.jpg
JTWC ghi nhận bão Sinlaku có sức gió 280 km/h vào thời điểm tối 12/4 - sức gió thật sự đáng sợ. Ảnh: Zoom Earth, JMA/ NOAA/ CIRA, Himawari.

Sinlaku cũng đã ghi tên mình vào danh sách những kỷ lục: Nó là một trong 3 cơn bão mạnh nhất ở thời điểm tháng 4 kể từ năm 1977. Nó cũng là cơn bão đầu tiên trong năm 2026 đạt cường độ như trên, và đây cũng là lần đầu tiên xuất hiện một cơn bão mạnh như vậy trong tháng 4 kể từ bão Surigae năm 2021.

Chưa hết, siêu bão Sinlaku còn gây ấn tượng với hình dáng giống y như một lưỡi cưa máy (hoặc cưa đĩa).

Theo trang KXAN (của đài NBC, Mỹ) và Popular Science, "cơn bão cưa máy" là cách gọi một cơn bão rất mạnh, có sức tàn phá lớn, và trên ảnh vệ tinh, trông nó giống một lưỡi cưa máy với những đám mây nhọn ở vành.

con-bao-cua-may.jpg
Đây là hình ảnh cơn bão "giống lưỡi cưa máy". Ảnh: Himawari.

Không chỉ vậy, hình dạng cơn bão cưa máy còn có tính đối xứng - đặc điểm của những cơn bão rất mạnh, nhất là bão mạnh lên nhanh chóng. Một số người theo dõi bão nhận xét rằng, khi một cơn bão trông đối xứng và như lưỡi cưa máy thì chứng tỏ nó có tất cả các yếu tố cần thiết để đạt đến mức mạnh nhất - hoặc có thể gọi là… tệ nhất.

mat-bao-sinlaku.jpg
Mắt bão Sinlaku cực kỳ tròn và sắc nét, cho thấy nó là một cơn bão rất mạnh. Ảnh: Backpirch Weather.

Theo trang Guam Pacific Daily News, siêu bão Sinlaku đang di chuyển chậm về phía Quần đảo Bắc Mariana.

Việc một cơn bão như Sinlaku xuất hiện vào thời điểm này cho thấy các cơn bão ngày càng trở nên phức tạp, dị thường.

ft1479.jpg