TPO - Một ngọn núi lửa ở Ethiopia đã bất ngờ phun trào lần đầu tiên sau 12.000 năm, tạo ra những cột khói và tro bụi dày đặc, ảnh hưởng đến giao thông hàng không ở Ấn Độ cách đó hàng nghìn dặm.
TPO - Các nhà khoa học cảnh báo rằng các sông băng tan chảy có thể khiến các vụ phun trào núi lửa bùng nổ và thường xuyên hơn, khiến biến đổi khí hậu trở nên tồi tệ hơn. Băng tan có thể làm tăng hoạt động núi lửa ở Bắc Mỹ, New Zealand và Nga, thải khí nhà kính vào khí quyển.
TPO - Trong thông báo vào hôm nay, 2/7, Cơ quan khí tượng Thái Lan (TMD) cho biết đã ghi nhận một trận động đất ở Việt Nam. Cụ thể là động đất được ghi nhận ở đâu, vào thời điểm nào, và có liên quan gì đến những trận động đất gần đây trong khu vực không?
TPO - Do ảnh hưởng của hoạt động phun trào núi lửa Lewotobi Laki-laki tại Indonesia, tình trạng bụi núi lửa phát tán rộng trong không phận khu vực Bali, 2 chuyến bay quốc tế đến và đi từ Bali trong hôm nay (18/6) của Vietnam Airlines đã bị hủy.
TPO - Nam Cực – lục địa trắng xóa tưởng chừng như bất động có thể sớm trở thành nơi diễn ra một chuỗi các vụ phun trào núi lửa, đe dọa làm thay đổi hoàn toàn cảnh quan Trái Đất. Đây là cảnh báo từ một nghiên cứu mới, chỉ ra rằng băng tan đang làm tăng nguy cơ kích hoạt hàng trăm núi lửa chìm dưới lớp băng dày.
TPO - Tại Indonesia gần đây có nhiều lần núi lửa phun trào rất mạnh, trong đó lần gần nhất là vụ phun trào của núi Ruang vào ngày 30/4. Đến nay, khí sulfur dioxide (SO2) do vụ phun trào này đã theo chiều gió lan rộng sang Malaysia và đến sát miền Nam nước ta. Vậy khí này có thể gây những ảnh hưởng gì?
TPO - Một ngọn núi lửa hoạt động mạnh ở Indonesia đã phun trào lần thứ hai trong vòng 2 tuần. Việc này được cho là sẽ làm thay đổi thời tiết và không khí trong khu vực Đông Nam Á và thậm chí là rộng hơn.
TPO - Núi lửa Ruang ở Indonesia lại phun trào rất mạnh vào ngày hôm qua, 30/4. Các nhà chức trách đã phải ra cảnh báo cấp cao nhất vì những nguy cơ mà vụ phun trào này có thể đem đến.
TPO - Hôm nay (18/4), lực lượng cứu hộ Indonesia chạy đua để sơ tán hàng nghìn người sau khi một ngọn núi lửa phun trào 5 lần, buộc chính quyền phải đóng cửa sân bay gần đó và phát cảnh báo về nguy cơ sóng thần.
TPO - Người xưng cán bộ tòa án 15 lần không chịu đo độ cồn, van xin "cứu em đi"; Truy tố Ngọc Trinh với khung phạt từ 2-7 năm tù; Ông Trump nói quan hệ cá nhân với lãnh đạo Triều Tiên giúp Mỹ an toàn... là những tin chính có trong Tin nhanh ngày 15/1/2024.
TPO - Núi lửa Etna ở Ý đã mới phun trào, dung nham và tro bụi mù mịt, như thể thiên nhiên đang phô diễn sức mạnh, tạo nên cảnh tượng vừa rực rỡ vừa dữ dội. Việc ngọn núi lửa này “thức giấc” sau hơn 30 năm gây những ảnh hưởng thế nào?
TPO - Cơ trưởng của chuyến bay đã quyết định mang đến cho hành khách của họ trải nghiệm khó quên trong đời. Mười phút trước khi hạ cánh, phi hành đoàn quyết định chuyển hướng nhanh chóng qua Keflavik để bay qua một ngọn núi lửa đang phun trào cách sân bay chỉ 10 dặm, khoảng 16 km.
TPO - Các nhà khoa học nghiên cứu các hành tinh đã tìm thấy bằng chứng mang tính đột phá về hoạt động núi lửa gần đây trên Sao Kim. Các tài liệu lưu trữ từ sứ mệnh Magellan của NASA cho thấy những dấu hiệu của Maat Mons, một ngọn núi lửa cao 8.000m trên Sao Kim, hành tinh song sinh của Trái đất, đã hoạt động vào năm 1991.
TPO - Các nhà chức trách đang rất lo ngại khi ngọn núi lửa được gọi là “Ngày Tận Thế” có vẻ sắp phun trào. Lý do là vì nó đang phun ra rất nhiều khói nóng, bắt đầu từ cuối tuần vừa rồi.
TPO - Cơ quan khảo sát địa chất Mỹ cho biết, Mauna Loa - núi lửa còn hoạt động lớn nhất thế giới ở bang Hawaii, Mỹ, lần đầu tiên phun trào sau gần 40 năm.
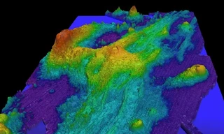
TPO - Một ngọn núi lửa dưới biển, là nơi ở của rất nhiều cá mập, đang bước vào giai đoạn hoạt động. Cơ quan Hàng không Vũ trụ Mỹ (NASA) đã cảnh báo về những điều kỳ lạ ở ngọn núi lửa này.