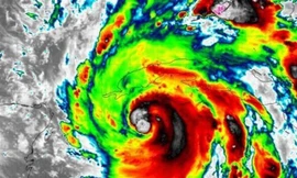
TPO - HĐND TP Đà Nẵng đề nghị làm rõ việc bố trí toà nhà Dinh thự Pháp làm trụ sở công an phường; Dự báo đáng lo ngại của Philippines về cấp "siêu bão" của Kalmaegi; Lý do FIFA chưa công bố quyết định kháng án của Malaysia;... là những tin chính có trong Tin nhanh ngày 3/11/2025.
TPO - Bạt rách, đường ống gãy khúc, những vạt cát bị sóng bạt thành hố sâu... là những gì còn sót lại tại đầm tôm công nghệ cao của gia đình ông Trần Văn Quân (SN 1972, ở Thanh Hóa). Chỉ trong 2 tháng, những cơn bão liên tiếp đã phá hủy hoàn toàn 10 ao nuôi tôm của chủ đầm, gây thiệt hại hơn 5 tỷ đồng.
TPO - Cơ quan khí tượng cảnh báo tháng 9/2025 sẽ là cao điểm của mùa mưa bão, với nhiều hình thái thời tiết cực đoan. Bắc Bộ, Bắc Trung Bộ tiếp tục mưa lớn kéo dài, trong khi Nam Trung Bộ có thể khô hạn, Tây Nguyên và Nam Bộ dự báo hứng chịu mưa dông dữ dội.
TPO - Trước diễn biến phức tạp của bão số 3, ngày 21/7, UBND TPHCM phát đi văn bản khẩn, yêu cầu các sở, ban ngành, địa phương chủ động triển khai các biện pháp ứng phó, đảm bảo an toàn cho người dân, đặc biệt là tại các khu vực ven biển và vùng có nguy cơ ngập lụt cao.
TPO - Đêm 22/6, mưa xảy ra tại một số khu vực thuộc huyện Hàm Yên và Chiêm Hóa (tỉnh Tuyên Quang) khiến một số phương tiện bị nước lũ cuốn trôi. Lực lượng chức năng đang khẩn trương trục vớt và tìm kiếm, cứu hộ các nạn nhân.
TPO - Bão Helene vừa đổ bộ vào vùng Big Bend của bang Florida, Mỹ, trở thành một trong những cơn bão mạnh nhất mà nước Mỹ từng hứng chịu. Giới chức nước này lo ngại sẽ có nhiều thương vong và tàn phá trên diện rộng khi cơn bão quét qua đất liền.
TPO - Trong khi châu Á đối phó với bão Noru, người dân Mỹ và các đảo quốc vùng Caribe cũng đang gia cố nhà cửa và tích trữ nhu yếu phẩm trước khi bão Ian quét qua.
TPO - Hôm nay, ở khu vực Bắc Bộ và Thanh Hoá bắt đầu ảnh hưởng của bão số 2 nên có mưa to diện rộng. Đặc biệt, ở khu vực Bắc vịnh Bắc Bộ, từ chiều tối nay biển động mạnh. Ban chỉ đạo quốc gia về Phòng chống thiên tai yêu cầu các địa phương quản lý chặt chẽ các phương tiện ra khơi, dựa vào diễn biến của bão chủ động cấm biển.
TPO - Hàng chục nghìn hộ gia đình tại Anh đã phải sống trong tình trạng mất điện nhiều ngày, cùng với đó rất nhiều người dân đã phải đi sơ tán sau khi bão Franklin, cơn bão thứ ba đổ bộ vào nước này chỉ trong vòng một tuần, gây ra mưa lớn, gió giật và ngập lụt tại nhiều nơi ở đảo quốc sương mù.
TPO - Ấn Độ đang gặp khó khăn chồng chất khó khăn. Trong khi đại dịch còn chưa được kiểm soát, thì đất nước này đã liên tiếp hứng hai cơn bão được xếp vào mức “cực kỳ nghiêm trọng”, khiến rất nhiều người thiệt mạng và mất tích, nhà cửa bị tàn phá. Những nỗi đau đang nhân lên gấp hai, gấp ba.
TPO - Bạn vẫn thường nghe nói nên các cấp độ của bão, nhưng bão có thể mạnh đến mức nào được? Liệu có giới hạn nào về cường độ của những cơn bão không?
TPO - Những hình ảnh “mây xoắn thừng” đáng sợ cùng mưa đá với những cục đá to như quá bóng tennis ở Úc, cảnh báo bão gây sóng lớn “đặc biệt nguy hiểm” ở Anh… khiến nhiều người rùng mình cho rằng năm 2020 đúng là có nhiều chuyện kinh hoàng.
TPO - Bão số 3 có quỹ đạo di chuyển hết sức phức tạp. Thông tin mới nhất cho thấy, trong chiều tối nay và ngày mai, bão số 3 sẽ di chuyển theo hướng Tây, sau đó đổi hướng Tây Tây Nam đi men dọc ven biển các tỉnh phía Đông Bắc Bộ, vùng ảnh hưởng mở rộng đến phía bắc Thanh Hóa.
TPO - Mưa rất to bao trùm cả một vùng rộng lớn gồm toàn bộ miền Bắc và hai tỉnh Thanh Hóa, Nghệ An, kéo dì từ nay đến Chủ Nhật, tập trung cao điểm vào đêm Thứ Sáu và sáng Thứ Bảy.
TPO - Các chuyên gia khí tượng nhận định, bão số 3 sẽ diễn biến rất phức tạp về đường đi và cường độ. Đến hiện tại, bão số 3 có khả năng đổ bộ theo 3 hướng.
TPO - Cơn bão nhiệt đới đầu tiên sau hơn 30 năm sẽ đổ bộ vào Thái Lan, với sức gió lên đến 80 km/h, dự báo sẽ xuất hiện vào tối thứ sáu này. Hàng nghìn người dân đã chuẩn bị tránh trú bão, trong khi hai sân bay lớn đã ngừng hoạt động.
TPO - Cơn bão lớn cuốn theo bụi mù mịt đã bao trùm suốt dọc vùng đông nam Australia, biến bầu trời trở thành màu da cam, đồng thời đem đến những cảnh báo và nguy cơ về chất lượng không khí.