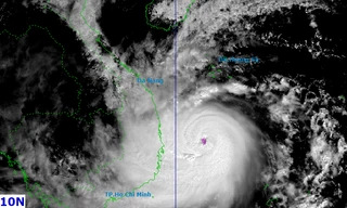
Bão Kalmaegi tiếp tục tăng cấp, ban bố rủi ro thiên tai cấp 4
TPO - Sáng nay, bão Kalmaegi đã mạnh lên cấp 15, giật cấp 17, dự báo bão đổ bộ đất liền nước ta trong tối và đêm nay với cường độ gió cấp 13, giật cấp 17. Trung tâm Dự báo Khí tượng Thủy văn Quốc gia ban bố rủi ro thiên tai cấp 4 trên đất phía đông các tỉnh Quảng Ngãi, Gia Lai (Bình Định cũ) và phía bắc của Đắk Lắk (Phú Yên) cũ - nơi dự báo sẽ hứng chịu sự tàn phá khốc liệt.