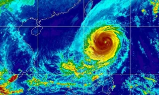
TPO - Siêu bão Yutu giật cấp 14 đã tiến vào Biển Đông trở thành cơn bão số 7 trong năm nay. Bão đang khiến khu vực đông bắc Biển Đông có sóng lớn, biển động dữ dội.
TPO - Ban Chỉ đạo Trung ương về Phòng chống Thiên tai- Ủy ban Quốc gia ứng phó sự cố, thiên tai và tìm kiếm cứu nạn yêu cầu các bộ ngành, địa phương từ Quảng Ninh đến Khánh Hòa khẩn cấp ứng phó với bão siêu Yutu dự báo sẽ vào biển Đồng.